マイ昆虫記録館>半翅目>ツノカメムシ科

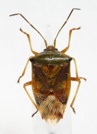
ベニモンツノカメムシ

採集日 採集地 採集者
2009年6月28日 北海道札幌市南区中ノ沢 管理人

半翅目(ツノカメムシ科)へ戻る
半翅目へ戻る
トップページへ戻る