マイ昆虫記録館>鞘翅目>カミキリムシ科

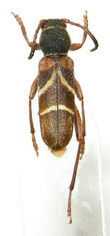
アカネトラカミキリ

採集日 採集地 採集者
2004年6月9日 北海道札幌市南区砥山 管理人

鞘翅目(カミキリムシ科)へ戻る
鞘翅目へ戻る
トップページへ戻る